↓
 

Austin Land Surveying

Local Land Surveyors in Austin, AZ

Austin Land Surveying
(737) 204-2120
Austin Land Surveying
  • Home
  • ALTA Survey
    • Bowling Green, KY
    • Clarksville, TX
    • Jackson, MS
    • Jackson, TX
    • Lexington, KY
    • Louisville, KY
    • Memphis, TX
  • Boundary Surveying
  • Construction Survey
  • Drone LiDAR Mapping
  • Elevation Certificate
  • Land Surveying
  • Topographic Survey
  • About Us
  • Contact Us
Home→Survey of Property Line Problem →Survey of Property Line Problem

Image navigation

← Previous Next →

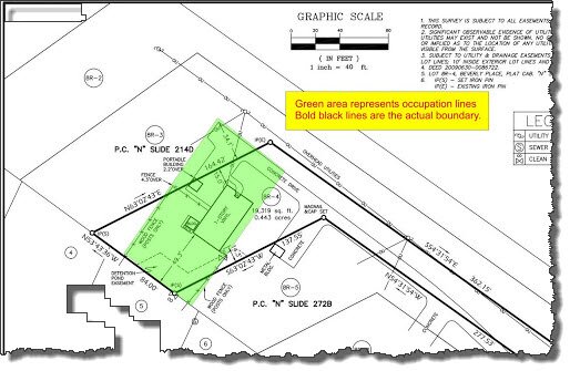
Survey of Property Line Problem

Published October 27, 2015 at 514 × 335 in Survey of Property Line Problem
land surveying | land survey

Image navigation

← Previous Next →
Get Quote Button
© Austin Land Surveying
Austin, Texas
Phone: (737) 204-2120

Privacy Policy | Terms of Use

Web Development and SEO by:
SEO Company for Professionals

The owner of this website, USA Surveying & Engineering, LLC., provides coordination of professional land surveying and engineering services in all 50 states. The professional surveying and engineering services provided to you will be conducted by fully licensed professionals in your state.

↑